구서4구역 재건축 정비구역 해제기한 연장 고시
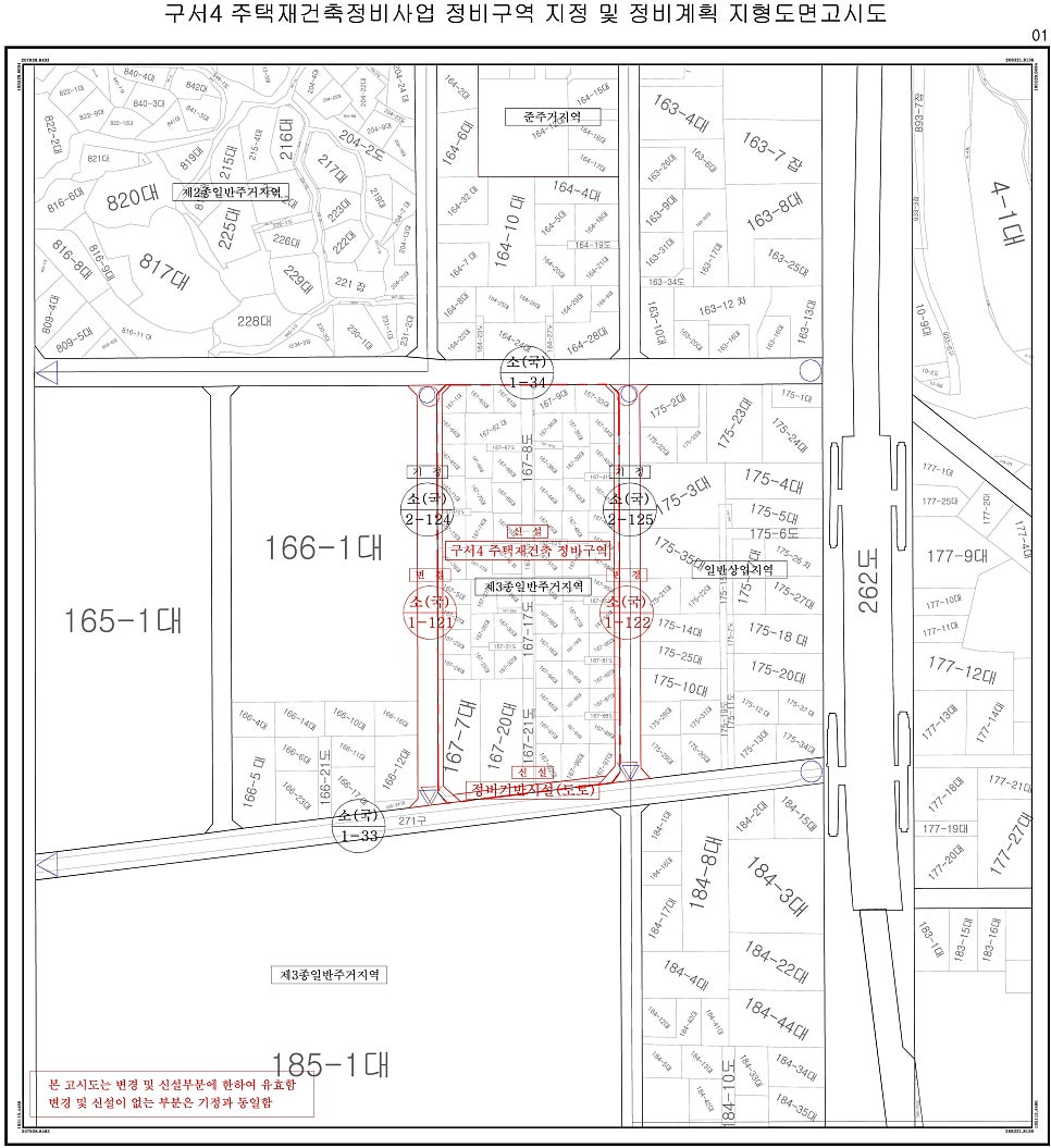
- 金井区 구서동 167-1번지 일원, 위치, 구역도, 진행상황, 조감도

金井区 구서동에서 진행 중인 구서4구역 재건축사업의 정비구역 해제기한이 연장되었다.
부산시는 2025년 12월 17일 고시를 통해 구서4 재건축사업의 해제기한을 2027년 12월 29일까지 연장한다고 발표했다.

구서4구역은 2017년 5월 17일에 정비구역으로 지정된 이후 재건축 절차를 차근차근 진행해 온 지역이다. 해당 구역의 면적은 11,254.6㎡에 달한다. 이번 재건축 프로젝트에서는 지하 3층과 지상 29층으로 구성된 3개 동의 아파트가 건설되며, 총 301세대가 들어설 예정이다.
또한 부대 복리시설도 함께 조성될 계획이다. 2022년 12월 30일에는 조합설립인가를 받아 공식적인 절차를 진행하였으며, HJ중공업이 약 962억 원 규모로 시공사로 선정되어 이 사업을 맡게 되었다. 이러한 움직임은 구서4구역의 발전에 긍정적인 영향을 미칠 것으로 기대된다.

今年 해제기한 연장은 「城市及居住环境整治法」를 기반으로 하여, 土地 所有者(조합원) 중 30% 이상이 연장을 요청한 결과이다. 부산시는 住房环境을 체계적으로 개선하고 사업의 지속성을 보장하기 위해 정비구역 지위를 유지하는 것이 필요하다고 생각했다.

위치 조건이 매우 좋다. 부산지하철 1호선 두실역과 가까워 교통이 편리하며, 구서초, 두실초, 남산초, 남산중, 구서여자중학교와 같은 교육기관이 근처에 있다. 또한, 다양한 생활 편의시설이 밀집해 있어 안정적인 주거 수요가 형성된 지역으로 알려져 있다.

정비구역 해제 기한 연장은 사업 지연으로 인해 구역이 자동으로 해제되는 상황을 방지한다. 이는 조합이 향후 사업 시행 계획 및 관리 처분 단계로 나아갈 수 있는 시간을 확보하는 데 중요한 역할을 한다.
특히 구서4구역 재건축사업은 이번 연장으로 인해 사업 추진의 지속 가능성을 유지할 수 있을지 많은 관심을 받고 있다. 이러한 변화가 앞으로의 진행에 어떤 영향을 미칠지 지켜보는 것이 필요하다.
부산광역시 고시 제2025-491호
구서4 재건축 정비구역 해제기한 연장 고시
부산광역시 금정구 구서동 167-1번지 일원 구서4 재건축사업 정비구역에 대하여「城市及居住环境整治法」제20조 제6항 규정에 따라 정비구역 해제기한을 연장하고, 같은 조 제7항 규정에 따라 고시합니다.
2025년 12월 17일
부 산 광 역 시 장
1. 정비구역 해제기한 연장
| 區域名 | 位置 | 區域面積(㎡) | 正規區域解散期限延長 | 備註 |
| 구서4 재건축사업 정비구역 | 金井区 구서동 167-1번지 일원 | 11,254.6 | 2027. 12. 29.까지 | - |
※「城市及居住环境整治法」제20조 제1항 제2호 라목에 따른 해당기간으로부터 2년
※「城市及居住环境整治法」제2조에 의한 구역의 명칭 변경 및 대상지의 현 현황을 고려한 대표지번 변경
2. 정비구역 해제기한 연장 사유
-「城市及居住环境整治法」제20조 제1항 제2호 라목에 따른 해당기한 도래전 같은 조 제6항에 의거 토지등소유자(조합원)의 100분의 30 이상 정비구역 해제기한을 연장 요청한 바, 주거환경의 계획적 정비를 위하여 정비구역 해제기한 연장
3. 관련 세부내용은 부산광역시 도시정비과(051-888-4244), 금정구 건축과(051-519-4614)에 관계서류 비치

구분
고시
기관구분
시
기관
부산광역시
고시·공고 번호
제2025-491호
제목
구서4 재건축 정비구역 해제기한 연장 고시
일자
2025-12-17
#부산고시, #부산공고, #구서4구역, #구서4구역재건축, #구서4재건축, #정비구역해제기한연장, #금정구재건축, #구서동재건축, #부산재건축, #HJ중공업, #구서동167번지, #두실역역세권, #부산1호선, #금정구부동산, #부산정비사업, #재건축진행상황, #조합설립인가, #정비구역연장, #도시및주거환경정비법, #부산아파트, #부산신축아파트, #구서동아파트, #금정구아파트, #부산주택공급, #부산부동산, #재건축고시, #정비사업고시, #부산도시정비, #구서동개발
常见问题(FAQ)
Q. 구서4구역 재건축 정비구역 해제기한은 언제까지 연장되었나요?
구서4구역 정비구역 해제기한은 2027년 12월 29일까지 연장되었습니다.
부산시는 2025년 12월 17일 고시에 따라 구서4 재건축사업의 정비구역 해제기한을 기존에서 2년 연장하여 2027년 12월 29일까지로 발표했습니다. 이번 연장은 「城市及居住环境整治法」 제20조 규정에 의거하여 토지 소유자 30% 이상의 요청을 반영한 결정입니다. 따라서 조합은 사업 추진을 지속할 수 있는 기간을 확보하게 되었습니다.
Q. 구서4구역 재건축사업의 주요 내용과 진행 상황은 무엇인가요?
구서4구역은 301세대 아파트 3개동과 복리시설을 조성하며 HJ중공업이 시공사로 참여하고 있습니다.
구서4구역은 2017년 정비구역 지정 후 재건축 절차를 진행해 왔으며, 약 11,254.6㎡ 면적에 지하 3층 지상 29층 규모 아파트 3개동과 복리시설 건설이 예정되어 있습니다. 2022년 12월 30일 조합설립인가를 받고, HJ중공업이 약 962억 원 규모로 시공사를 맡았습니다. 현재 사업은 조합 중심으로 체계적 추진 중이며, 해제기한 연장으로 추진 동력을 유지하고 있습니다.
Q. 정비구역 해제기한 연장 사유는 무엇인가요?
토지 소유자 30% 이상 요청으로 주거환경 개선 및 사업 지속성을 위해 연장되었습니다.
「城市及居住环境整治法」에 따라 토지등 소유자(조합원) 중 30% 이상이 정비구역 해제기한 연장을 요청했습니다. 부산시는 이를 반영해 체계적인 주거환경 개선과 사업의 중단 없는 추진을 위해 정비구역 지위를 유지하는 조치를 취하였습니다. 이는 자동 해제로 인한 사업 중단 위험을 예방하고, 조합이 관리처분 단계로 진입할 시간을 벌기 위한 중요한 결정입니다.
Q. 구서4구역의 입지와 주변 환경은 어떤가요?
부산지하철 1호선 두실역 인근이며, 초중학교와 생활편의시설이 가까워 주거환경이 좋습니다.
구서4구역은 부산 금정구 구서동 167-1번지 일대에 위치하며, 지하철 1호선 두실역과 인접해 교통 접근성이 우수합니다. 인근에는 구서초, 두실초, 남산초, 남산중, 구서여자중 등 여러 교육기관이 있어 학군이 좋고, 다양한 생활편의시설도 밀집해 있습니다. 이러한 위치적 강점 덕분에 안정적인 주거 수요가 기대되는 지역입니다.
