南山站1号出口小规模再开发项目合作社成立许可公告
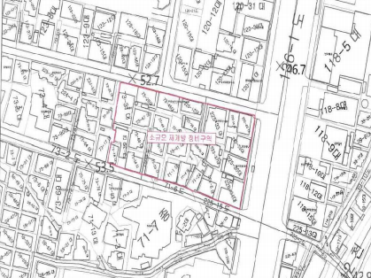
- 在金井区南山洞225-33号及其周边的位置信息、区域图、进展情况、小额再开发投资
金井区南山洞地区正在进行的南山站1号出口小规模再开发项目已获得合作社成立许可,正式进入实施阶段。
金井区厅于2026年1月7日发布公告,完成了对南山洞225-33号的合作社成立许可和地形图的公告。
因此,地区开发备受期待。

最近批准的项目位于釜山地铁1号线南山站1号出口附近,面积为4,933.3㎡,设定为小规模再开发区。合作社成立许可预计在2025年12月29日获得,通过此许可,合作社将获得法律地位。这将为未来的项目实施计划制定及各种许可申请手续提供跳板。
南山站周边是基于1号线的车站周边的优越地理位置,中央大道的通达性良好。特别是由于不是大规模整治项目,而是以小规模再开发的方式进行,因此比一般的再开发或重建程序更简单,推进速度也较快,这一点值得关注。
尽管项目规模不大,但由于车站周边的地理位置和小额投资的便利性,可能吸引实际需求者和小额投资者的关注。然而,由于在不是高级地段的小规模进行,项目的可行性可能受限。实际上,在这样的地区,设定尽可能宽泛的区域可能对项目的盈利性产生积极影响。
因此,在南山站周边的投资机会需要谨慎对待。
未来,随着项目实施计划和建筑设计的具体化,预计南山站周边的居住环境将得到改善。这将有助于老旧住宅的整治效果。
釜山市金井区公告第2026-2号
南山站1号出口小规模再开发项目合作社成立许可公告
釜山市金井区南山洞225-33号及其周边的‘南山站1号出口小规模再开发项目’合作社成立许可事项,根据《空房及小规模住宅整治特别法》第二十三条第二项的规定,进行合作社成立许可,并依据相同法律第二十三条第九项及实施令第二十一条之二的规定,予以公告。
2026年1月7日
釜山市金井区区长
1. 项目的种类及名称
甲. 种 类 : 小规模再开发项目
乙. 名 称 : 南山站1号出口小规模再开发项目
2. 项目实施区域的位置信息及面积
甲. 位 置 : 釜山市金井区南山洞225-33号及其周边
乙. 面 积 : 4,933.3㎡
3. 项目的预定启动及完工时间
甲. 启动预定时间 : 未确定
乙. 完工预定时间 : 未确定
4. 合作社名称及办公室地址
甲. 合作社名称 : 南山站1号出口小规模再开发整治项目合作社
乙. 办公室地址 : 釜山市金井区中央大道2007号路6号
5. 合作社成立许可日期 : 2025年12月29日。

分类
公告
机构分类
区县
机构
金井区
公告·公告编号
第2026-2号
标题
南山站1号出口小规模再开发项目合作社成立许可公告
日期
2026年01月07日
#釜山公告, #金井区公告, #南山站1号出口, #南山站小规模再开发, #南山洞再开发, #小规模再开发, #合作社成立许可, #金井区再开发, #釜山再开发, #南山站车站周边, #1号线南山站, #车站周边再开发, #釜山小额再开发, #小额再开发投资, #釜山整治项目, #釜山城市整治, #金井区房地产, #南山洞房地产, #釜山住宅整治, #再开发进展情况, #釜山新建公寓, #釜山房地产, #城市整治项目, #空房及小规模住宅整治, #金井区开发, #南山洞开发
常见问题(FAQ)
Q. 南山站1号出口小规模再开发项目的合作社成立许可日期是什么时候?
合作社成立许可预计在2025年12月29日。
南山站1号出口小规模再开发项目预计在2025年12月29日获得合作社成立许可。由此,合作社将获得法律地位,为后续项目实施计划的制定和各种许可申请程序奠定基础。合作社成立许可成为再开发项目推进的重要转折点。
Q. 南山站1号出口小规模再开发项目区域的位置和面积是多少?
项目区域为釜山金井区南山洞225-33号及其周边,面积约为4,933.3㎡。
南山站1号出口小规模再开发项目区域位于釜山市金井区南山洞225-33号及其周边。作为小规模再开发区域,总面积设定为4,933.3㎡,地处地铁1号线南山站1号出口附近,具备优越的车站周边地理位置。该地理位置的优势提升了地区开发和投资价值。
Q. 这个小规模再开发项目的特点和投资吸引力是什么?
快速的项目推进和小额投资的可能性使得其对实际需求者和小额投资者具有吸引力。
该项目以小规模再开发方式进行,并非大规模整治项目,因此程序简单,推进速度快。南山站1号出口的车站周边地理位置,使得小额投资者容易接触到,吸引实际需求者和小额投资者的关注。然而,由于项目规模不大,可能在项目可行性上存在限制,因此投资时需要谨慎评估。
Q. 南山站1号出口小规模再开发项目未来的预期效果是什么?
居住环境改善和老旧住宅整治效果可期。
南山站1号出口小规模再开发项目预计在项目实施计划和建筑设计具体化后,改善周边居住环境。通过此项目,老旧住宅及环境将得到整治,提高地区居民的居住满意度。虽为小规模项目,但将对地区活性化产生积极影响。